Best sale UV light Moisture Skin Analyzer Skin Analyser Scanner for sale

Share on (1600523764046):


Price:$3,800.00 - $4,200.00

Quantity:


Product Overview

Description



Portable Skin Scanner machine visia 6 facial skin analyzer Facial For Acne Testing






Specification


Voltage
110-240VAC 50-60HZ
IIIumination
10000ux
Fluorescent tube life
10000h
Colour temperature
7200k
Video output
NT
CPU/Pentium 4
1.8GHZ
Light source
RGB+UV


Working Theory




WORKING PRINCIPLE:Skin analyzer can detect those skin problems, not only surfacial skin problem but also those hidden skin base layer through the quantitative analysis. It will put out these problems in the bud. So that you understand their own facial skin spots, flare, chloasma, red blood silk, wrinkles, skin texture, large pores, acne these eight problems. Skin testing data is 100% accurate. Take use of a 15 million pixel camera, ordinary light, polarized light, UV light three kinds of optical imaging, 3D topography analysis technology, kinds of infrared image perspective and UV photography technology, can detect the facial skin color density, number of pores, wrinkles, acne, skin whitening degree and evenness, bad skin smoothness and cosmetics of varying degrees of damage to the skin to make qualitative quantitative analysis, according to the analysis result, proposed based on the skin the best individual treatment solutions, also can realize the entire computer numerical control records, save the file, implement detailed comparative analysis of different detection image across the period, making objective and scientific evaluationto the effect of treatment.


Application








Better diagnosis means better care:
Among many variables which contribute to the overall state of your complexion, six are crucial for selection of optimal skincare regiment. Those variables are: location and depth of wrinkles, pigment changes, vascular changes (redness), width and condition of pores, effects of UV damage and presence of porphyrin bacteria.


Our Advantages






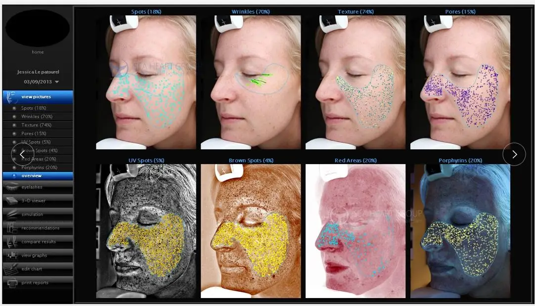
What Aspects Are Analyzed?
Spots: Spots are typically brown or red skin lesions including freckles, acne scars, hyper-pigmentation and vascular lesions.
Wrinkles: Wrinkles are furrows, folds or creases in the skin.
Texture: Texture is primarily an analysis of skin smoothness.
Pores: Pores are the circular surface openings of sweat gland ducts.
UV Spots:UV spots occur when melanin coagulates below the skin surface as a result of sun damage.
Brown Spots:Brown spots are lesions on the skin such as hyper-pigmentation, freckles, lentigines, and melasma.
Red Areas:Red areas represent a variety of conditions such as acne, inflammation, rosacea or spider veins.
Porphyrins: Porphyrins are bacterial excretions that can become lodged in pores and lead to acne.


Company Profile










FAQ


Q1. How long is the warranty good for?
A1. One year warranty.

Q2. What if any quality problems during guarantee period?
A2. We can provide free technical support and software upgrades.

Q3.Can we print my Logo on the products?

A3.Yes, we can. We support OEM .

Q4.What’s your delivery time?

A4.Within 3-7 working days after your payment.

Q5.How many kinds of payment term do you have?

A5.We accept Western Union, Secure Payment, Paypal.

Q6.What should I do if I don’t know how to use the machine?

A6.We have operation video and user manual for your reference, and also we provide you 24 hours on line service.

Q7.What's your transportation modes?
A7: We can transport the goods by air or by sea, it will be based on customer's requirement.

Please send us inquiry here to know latest prices!!!


0.2021 s.